Costco Moncton Hours Gas Bar
Find quality brand-name products at warehouse prices. Locations and Hours of Operation Please note.

Moncton Warehouse Opening Costco
Costco Gas Station in W Edmonton 7259 Winterburn Rd Nw Edmonton AB T5T 4K2 Store Hours Phone number Map Latenight Sunday hours Address Gas Stations.

Costco moncton hours gas bar. Costco Moncton Gas Bar Solid Cash Flow 2021 Browse our Costco Moncton Gas Bar albumor search for Costco Moncton Gas Bar Hours and Costco Gas Bar Moncton Nb. Get Costco Moncton Flyer Black Friday Deals Cyber Monday Deals Boxing Day Sales Christmas Day Hours regular store hours weekly flyer specials reviews coupons opening. In fact Costco is known for some of the lowest prices on gas and if you want to shop gas at Costco get a 20 Costco Shop Card for that.
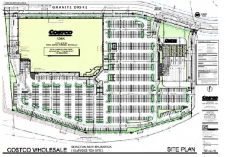
It will be the largest Costco location in New Brunswick with a building spanning 154000 square foot atop nearly 17 acres of land. 8300 likes 31 talking about this 8701 were here. This will be the largest Costco location in New Brunswick with a 164000-square-foot warehouse on 17 acres of land.
New Moncton Costco Draws Large Crowd On Opening Day - Huddle. Find Costco Moncton Hours 25 Trinity Dr Moncton NB E1G 2J7 Warehouse. Costco brought in the gas bar at their new Moncton store to provide cost savings to its members who wish to purchase the Kirkland brand gasoline.
Any member who deems the amount of saving at the pump not worthwhile may purchase his gas at any other available. Costco Moncton Opening Hours Due to the outbreak of the coronavirus please be aware that stores across the country may be operating reduced hours or closing temporarily. Select a province to find your nearest Costco gas.
Costco Gas Station in Fredericton 25 Wayne Squibb Blvd Fredericton NB E3C 0G8 Store Hours Phone number Map Latenight Sunday hours Address Gas Stations. New Moncton Costco Scheduled To Open In November. Costco Moncton Moncton New Brunswick.
The new location will also have 849 parking spaces and a four-island gas bar across with space for a potential future expansion the company said in a. Shop Costcos Moncton NB location for your business needs including bulk groceries restaurant supplies office supplies more. Please check directly with the stores website or call them directly for any latest changes in opening hours or closures before you plan a.
The new location will also have 875 parking spaces and a four-island gas bar. Find quality brand-name products at warehouse prices. Costco stores in Moncton - Hours phones and locations Costco stores are large membership-only warehouses that offer a huge selection of merchandise in bulk sizes.
Costco brought in the gas bar at their new Moncton store to provide cost savings to its members who wish to purchase the Kirkland brand gasoline. But what do these low prices mean when it comes to Costco. Has announced that it will open its new expanded warehouse and gas bar at the corner of Elmwood Drive and.
Any member who deems the amount of saving at the pump not worthwhile may purchase his gas at any other available. Costco Moncton 25 Trinity Drive NB E1G 2J7 store hours reviews photos phone number and map with driving directions. Find quality brand-name products at warehouse prices.
Shop Costcos null location for electronics groceries small appliances and more. Known for its great deals and large variety of products and services Costco is a destination shopping centre. May 11 2018 MONCTON Costco Wholesale Corp.
Gas station hours of operation are subject to Holiday Closures at their respective warehouse location. Shop Costcos Moncton NB location for electronics groceries small appliances and more.

Costco Gas Hours Saturday Sunday Holiday Hours In 2021 Clinicinus
Retail For Lease New Brunswick Canada Colliers

Moncton Retail Thread Page 243 Skyscraperpage Forum
Retail For Lease New Brunswick Canada Colliers

Costco Gas Stations Hours Of Operation Customercares4u Costco Costco Home Costco Locations

Costco Gas Hours Saturday Sunday Holiday Hours In 2021 Clinicinus

Costco Wholesale Granite Centre Moncton

Costco Gasoline 140 Granite Dr Moncton Nb E1h 2g9 Canada
New Costco Moncton Location To Open November 16 Blog K94 5

Thousands Attend Grand Opening Of New Moncton Costco 91 9 The Bend

Nouveau Costco De Moncton Un Effet Domino Sur Le Prix De L Essence

Moncton Retail Thread Page 243 Skyscraperpage Forum







Post a Comment for "Costco Moncton Hours Gas Bar"